Heute werden wir bereits um 07:00 Uhr abgeholt. Wir wollen zum Tauchen nach Padang Bai.
Tauchen bedeutet bei uns immer: Ich mit Flasche, Uschi mit Schnorchel. Wir haben bei der deutschsprachigen Tauchbasis Water WorxX gebucht, die uns auch zu früher Stunde am Hotel eingesammelt hat. Von Sanur bis zur Tauchschule fahren wir ca. eine Stunde. Als wir ankommen begrüßt uns blaues Wasser, herrliches Wetter und eine Tasse Kaffee.
Die Tauchschule liegt direkt in der Bucht von Padang Bai und fährt mit den traditionellen „Balibooten“ an die Tauchplätze. Durch die Nähe der Tauchschule kommt man früh raus, hat also die Tauchplätze noch nicht von den großen Booten belagert. Tauchlehrer und Eigentümer der Tauchschule sind David, Peter & Claudia. Wir werden freundlich begrüßt und Claudia macht mit mir den ersten Ausrüstungscheck. Da ich noch nicht viele Tauchstunden in meinem Log habe, bekomme ich Claudia als Guide zugewiesen. Ein Guide nur für mich alleine, toller Service! Sehr gut gefallen hat mir, dass man auch als Neuling nicht von oben herab behandelt wird. Claudia nimmt sich die Zeit, mir einige Sachen noch einmal zu erklären, die ich ihr auf ihr Nachfragen falsch erklärt habe, wir haben die Tauchzeichen durchgesprochen und das generelle Vorgehen bei unserem Tauchgang. Schnell ist die Ausrüstung zusammengesucht und es geht auf’s Boot.

Wir benutzen beide diese Cressy Big Eyes *, wegen des großen Sichtfeldes, und weil man hier die Gläser gegen Linsen mit Dioptrinwert tauschen kann. Da wir dies aber noch nicht gemacht haben, gibt es für Uschi sogar eine Maske mit Sehstärke von der Tauchbasis.
Bereits gegen 9 Uhr fahren wir Richtung Blue Lagoon, unserem Tauchplatz. Die See ist ein wenig kabblig, David und Claudia sind ein bischen besorgt wegen der Strömung. Man merkt deutlich wie viel Erfahrung sie hier schon über die Jahre gesammelt haben. Wir sehen keine Strömung, nur ein paar kleine Wellen.
Am Tauchplatz angekommen legen wir auf dem schmalen Boot die restliche Ausrüstung an. Klappt erstaunlich gut. Dann ab rückwärts in Wasser.

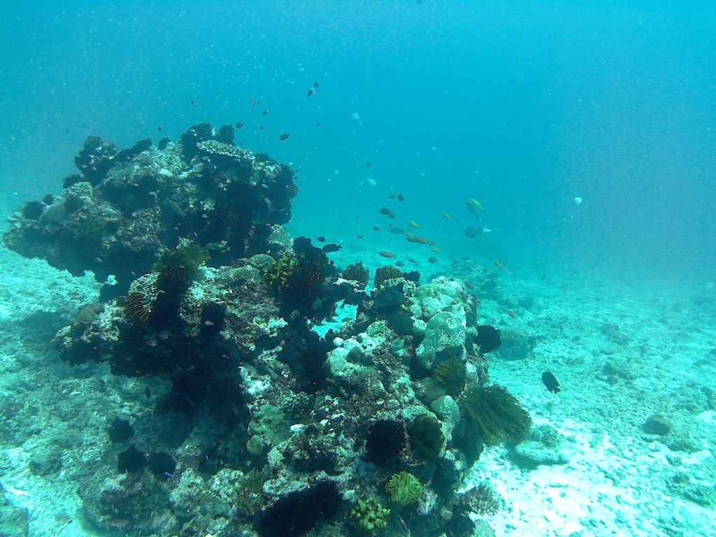
Uschi bleibt in der Bucht zum Schnocheln, ich beginne mit Claudia meinen Tauchgang. Die Bucht selbst hat einen kargen Sandboden, aber an jedem Felsen tobt das bunte Meeresleben. Immer wieder ein phantastischer Anblick. Nach 40 Minuten sind wir wieder am Boot angekommen. Da die Strömung weiter zunimmt, fahren wir für eine Mittagspause zurück in die Basis.
Die Bilder und Videos die ich gemacht habe sind so lala geworden. Das liegt einmal an dem fehlenden Licht, aber auch an der Qualität der Actioncam. Vor dem nächsten Tauchen wird aufgerüstet.
Nach einer gemütlichen Pause, heissem Kaffee/Tee und einige Zügen an der Dampfe geht es wieder raus. Wieder in die Blue Lagoon. Das Meer hat sich ein wenig beruhigt. Beim Abtauchen merkt man aber schon, dass es unter Wasser ganz schön zieht. Trotzdem ein weiterer schöner Tauchgang mit Claudia, Schwärme von Riffischen, Doktorfische, eine große Sandrose und vielem mehr. Es gibt einfach so viel zu sehen.
Mein Highlight dieser beiden Tauchgänge dürfte aber wohl sicherlich die Meeresschildkröte sein, die in ein paar Metern Entfernung vor uns her schwamm.
Nur all zu schnell ist die Luft zu Ende und wir machen uns auf den Rückweg. Zurück in der Tauchbasis haben wir vor allem eines: Hunger.
Wir legen unsere Ausrüstung zum Trocknen in den Schatten und gehen erst einmal in ein benachbartes Lokal.

Nachdem wir uns gestärkt haben, wird es Zeit für den Rückweg. Ein freundlicher Fahrer von der Basis bringt uns Richtung Hotel. Auf dem Hinweg haben wir jedoch etwas entdeckt, was wir uns eigentlich noch anschauen wollen. Wir fragen also unseren Fahrer, ob wir vielleicht einen kleinen Stop einlegen können. „Klar, kein Problem“, sagt er.
Wir halten also am Goa Lawah, am Fledermaustempel. Unsere Fahrer, der übrigens nicht aus Bali kommt, sonder vor Jahren von den Gilis eingwandert ist, steigt mit uns aus und entpuppt sich als hevorragener Reiseführer. Wir zahlen einen kleinen Eintritt, lassen uns unseren Sarong anlegen und betreten den Tempel. Unser Fahrer erzählt uns, dass der Goa Lawah schon im Jahr 1007 von Empu Kuturan gegründet worden sein soll. Er ist also vermutlich der älteste Tempel auf Bali. Eine Legende erzählt, dass es im 17. Jahrhundert Streit um die Nachfolge des Königs gab. Um zu beweisen, dass er der rechtmäßige Thronfolger sei, bot Gusti Ketut Agung an, durch die Höhle zu gehen. Wenn er lebendig wieder herauskäme, wäre das der Beweis, dass er der rechtmäßige König sei. Er überlebte den Gang durch die Höhle und wurde König von Kungkung.
Der Tempel selbst strahlt große Würde und Alter aus. Wir betreten den inneren Tempelbezirk, der von einem großen Höhleneingang dominiert wird. Hier sieht, hört und riecht man sofort die tausende von Fledermäusen, die in dieser Höhle leben und von denen der Tempel seinen Namen hat: Goa (Tempel) Lawah (Fledermaus).
Wir hatten riesiges Glück! „Oh look“ ruft unser Fahrer auf einmal sichtlich aufgeregt. Wir blicken zunächst ratlos um uns, bis wir endlich an der hinteren Felswand eine diffuse Bewegung und Aufhellung ausmachen können. Einer Legende zu Folge würden weiße Riesenschlangen in der Höhle leben. Diese, ebenso wie die Fledermäuse, heiligen Tiere sind wohl sehr, sehr selten zu sehen und es bringt großes Glück, wenn man eine der Schlangen erblickt. Selbst unser Fahrer habe diese zum ersten Mal in seinem Leben gesehen. Leider war diese zu weit weg und die Höhle zu dunkel, um euch ein Beweisfoto vorlegen zu können.
Das Betreten der Höhle ist streng verboten. Es ist sogar unklar, wie weit diese in den Fels reicht. Legenden besagen, sie reiche über 30 km weit bis zum Vulkan Agung und habe dort beim Muttertempel einen zweiten Ausgang. Geprüft hat dies wohl noch niemand.
Freudig machen wir uns mit unserem Fahrer auf den Rückweg und geniessen die Rückfahrt durch den trubeligen Verkehr.
Heute wollen wir am Strand zu Abend essen. Die Restaurants dort sind zwar etwas teuerer, aber dafür ist das Ambieten im Kerzenschein und mit dem Mond, der sich auf dem Meer spiegelt, auch einfach wunderschön.
Wir landen tatsächlich erneut im Lilla Pantai, diesmal aber direkt am Strand. Kleine Holztische, die Füße im Sand, so lässt es sich aushalten. Es gab Balinesische Ente mit frischem Gemüse und ein mildes Curry für Uschi. Geschmeckt hat es sehr lecker, man muss sich nur im Klaren sein, dass an so einer wildlebenden Ente nicht viel dran ist…




bty
Bezahlt haben wir für 2 Personen incl. Getränke ca. 300.000 IDR = 20€. Das Ambiente war es alle mal wert.
Nun geht es ab in unsere Villa, um noch ein bisschen die Nacht im Pool zu geniessen, zu lesen, zu entspannen und natürlich den Tag in Stichworten für euch festzuhalten. Das ist auf Bali wirklich phantastisch, es ist nachts so angenehm, dass man am liebsten bis zum Sonnenaufgang im Pool liegen würde.
Da wir aber morgen tatsächlich den Sonnenaufgang sehen wollen, geht es irgendwann ins Bett – müde, zufrieden und mit jeder Menge neuer Eindrücke über diese tolle Insel.
* Einige unserer Beiträge enthalten Affiliate-Links zu Produkten oder Unterkünften, die wir auf unseren Reisen benutzen. Als Amazon-Partner verdienen wir an qualifizierten Verkäufen. Wir empfehlen nur Produkte, Hotels etc. die wir selbst benutzt oder besucht und für gut befunden haben.










